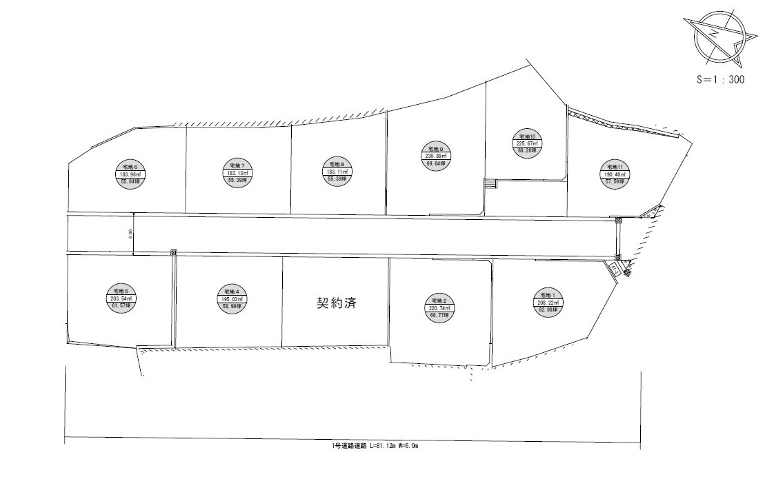
★大村市玖島2丁目分譲地 ルミナスフィールド玖島 全11区画★
【建築条件付き】
1号地:208.22㎡(62.98坪)1259.6万円
2号地:220.74㎡(66.77坪)1302万円
4号地:195.03㎡(58.99坪)1179.8万円
5号地:203.54㎡(61.57坪)1188.3万円
6号地:183.96㎡(55.64坪)1112.8万円
7号地:183.13(55.39坪)1107.8万円
8号地:183.11㎡(55.39坪)1107.8万円
9号地:230.89㎡(69.84坪)1326.9万円
10号地:225.67㎡(68.26坪)1283.2万円
11号地:190.40㎡(57.59坪)1151.8万円
校区:大村小学校・玖島中学校
※確定測量前につき、面積・価格が変更になる場合があります。
現地案内やプラン等、お気軽にお問合せください♪





